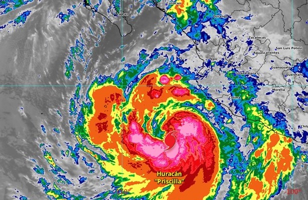
El huracán “Priscilla”, de categoría 1, se desplaza por las costas del Pacífico mexicano y provocará lluvias torrenciales de hasta 150 milímetros en siete estados del país, alertó el Servicio Meteorológico Nacional.
Durante las próximas horas, se prevén lluvias intensas en Colima, Jalisco; muy fuertes en Sinaloa, Nayarit, Michoacán y Guerrero, así como fuertes en Baja California Sur.
Se prevé que Priscilla evolucione a huracán categoría 2 entre el martes 7 y el miércoles 8 de, para posteriormente debilitarse a tormenta tropical.





















