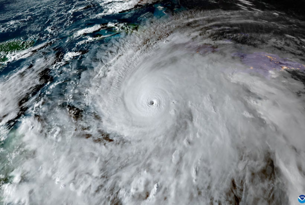
El huracán Melissa tocó tierra en Jamaica como un poderoso ciclón de categoría 5, con vientos cercanos a los 300 km/h, informó el Centro Nacional de Huracanes (NHC) de Estados Unidos. Según el organismo, se trata de uno de los impactos en tierra más fuertes registrados en la cuenca atlántica.
Las autoridades advirtieron que la tormenta representa una amenaza extremadamente peligrosa y potencialmente mortal, con marejadas ciclónicas de hasta 4 metros, deslizamientos de tierra y cortes generalizados de electricidad mientras el ojo avanza de sur a norte de la isla.
Expertos advirtieron que Melissa “será la tormenta del siglo” que haya golpeado Jamaica. Se especula que Melissa provoque devastaciones equiparables a huracanes históricos como María en 2017 o Katrina en 2005.
Hasta el momento, siete personas han muerto en el Caribe debido al deterioro de las condiciones meteorológicas: tres en Jamaica, tres en Haití y una en República Dominicana. El primer ministro jamaicano, Andrew Holness, alertó sobre los riesgos en zonas vulnerables: “No creo que haya infraestructura en esta región que pueda resistir un huracán de categoría 5”.
Se prevé que el huracán continúe su trayectoria hacia el extremo oriental de Cuba la noche del martes.










